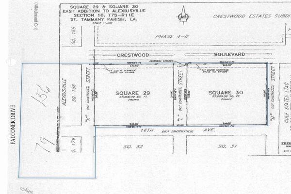
Falconer Dr
Covington , Louisiana 70433
- Listing Type:
- For Sale
- Listing Price:
- $149,037,926,400.00
- Property Type:
- Land
- Property Subtype:
- Retail-Pad
- Year Built:
- Listing Status:
- Active
- Land Area:
- 3.96 Acres
Description:
NEWLY REDUCED FOR 2021! 3 contiguous squares of property fronting Falconer Dr./Crestwood Dr. - offered together at $5/PSF Entire property is 3.96 acres. Zoned NC-4, this property is directly behind Lowe's and in vicinity of other big box retailers in Covington. Central water/sewerage in area. Flood Zone X. Nearby area includes big box retailers, multi-family, and office/commercial properties. Squares 29/30 and Sq. 156 can be sold separately. OWNERS WILL CONSIDER A GROUND LEASE ON PROPERTY.
Falconer Dr. allows travel between Park Place Dr. (Home Depot) - behind Walmart SuperCenter - to Crestwood Blvd (Lowe's) and continues to the subdivisions of Harrison Ave. Multiple residential and commercial developments in the immediate area. Possible subdivision and/or rezoning for development available. Undeveloped streets may be revoked with parish approval.
- Square 156 can be purchased separately for $8 PSF ($403,200)
- Squares 29 can be purchased separately for $6 PSF ($345,600)
- Square 30 can be purchased separately for $4 PSF ($230,400)
- Together all parcels can be purchased for $5 psf or ($864,000)
3.96 acres of NC-4 land at corner of Falconer Dr./Crestwood Dr. directly behind Lowe's
Ideal for retail, office, multi-family
Possible subdivision or rezoning available
Flood Zone X
Square 156 can be purchased separately for $8 PSF ($403,200)
All Parcels can be purchased for $5 PSF ($864,000)
Presented by:
Director of Commercial Sales and Leasing
(225) 295-0800
(225) 252-3733
Click here to emailListed by:
Keller Williams Realty Services
Mandeville
Mortgage Calculator
INPUTS
